Pavimentação da PR-239 entre Mato Rico e Roncador tem edital homologado 26/02/2025 - 10:39
Nova obra de pavimentação terá 19,89 quilômetros e investimento de R$ 101.199.999,99. Próximo passo será a assinatura do contrato.
O Departamento de Estradas de Rodagem do Paraná (DER/PR), autarquia da Secretaria de Infraestrutura e Logística (SEIL), publicou a homologação do resultado da licitação para pavimentar a PR-239 entre Mato Rico e Roncador, na região do Centro, um investimento de R$ 101.199.999,99.
Agora estão em andamento os trâmites internos para assinatura de contrato com as empresas Gaissler Moreira Engenharia Civil Ltda. e Ellenco Construções Ltda., que compõem o Consórcio Roncador. Na sequência será emitida a Ordem de Serviço, que estabelece a data de início dos trabalhos, com duração de 600 dias corridos (20 meses).
A nova pista da PR-239 será de pavimento asfáltico, com duas faixas de tráfego com 3,5 metros da largura cada uma, ao longo de todo o trecho. São 19,89 quilômetros de extensão, com acostamentos de 1,5 metro em ambos os lados da rodovia.
No perímetro urbano de Mato Rico também serão implantados passeios para pedestres com 2,1 metros de largura nos dois sentidos e iluminação rodoviária, mas devido à restrição de espaço, este trecho não terá acostamentos.
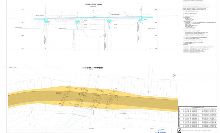
Próximo ao perímetro urbano de Roncador será construída uma nova ponte sobre o Rio Cancã. Ela terá 36,6 metros de extensão, duas faixas de tráfego de 3,5m, acostamentos de 1,5m, passeios para pedestres de 1,9m e guarda-rodas. Será demolida tanto a ponte mais antiga no local, já condenada e desativada, como também a ponte variante, utilizada atualmente.
Um dos bueiros da rodovia será substituído por uma nova galeria simples celular de concreto de 2,5 m x 2,5 m, passando a acumular a função de passa-fauna. Demais bueiros e dispositivos do sistema de drenagem de águas serão trocados durante a execução da obra por peças novas. O trecho também terá sinalização vertical, sinalização horizontal e implantação de dispositivos de segurança viária.






















